Sturm statt Traumurlaub: Was Urlauber jetzt wissen müssen

Panorama

In Jamaika fürchtet man eine Katastrophe durch den Hurrikan „Melissa“. Auch andere Karibikstaaten sind betroffen. Was ist, wenn man dort gerade Urlaub macht oder einen Trip plant? Hier wichtige Tipps.

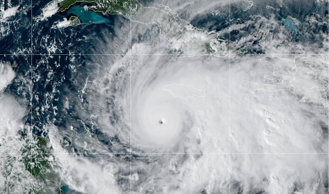
Da braut sich was zusammen: Hurrikan „Melissa“ nähert sich mit rasender Geschwindigkeit der Karibikl. In Jamaika fürchtet man schwere Verwüstungen.

Da braut sich was zusammen: Hurrikan „Melissa“ nähert sich mit rasender Geschwindigkeit der Karibikl. In Jamaika fürchtet man schwere Verwüstungen.

(Foto: Imago/ZUMA Press)

Von Markus Brauer/dpa

Eine der beliebtesten Attraktionen auf Jamaika sind die berühmten Dunn River Falls, westlich von Ocho Rios. Hier, wo der Dunn River über beeindruckende Felsentreppen ins Meer mündet, verdrehte Honey Ryder (Ursula Andress) James Bond (Sean Connery) den Kopf. Die Karibikinsel hatte im Jahr 1962 in „James Bond – 007 jagt Dr. No“ ihren ersten Filmauftritt im 007-Universum. Inzwischen sind es drei.

Doch nun nähert sich der Mega-Wirbelsturm „Melissa“ der Insel. Auf Jamaika werden schwere Verheerungen befürchtet. Auch für Provinzen im Osten Kubas und Teile der Bahamas wurden Hurrikan-Warnungen herausgegeben. Das müssen Reisende jetzt wissen:

Was ist, wenn man vor Ort ist?

Informieren: Unbedingt informiert bleiben über die Lage, etwa über regionale Nachrichten. Wenn Evakuierungsanordnungen und andere Hinweise der Behörden kommen, sollten Urlauber sie befolgen. Aktuelle Informationen und nützliche Links zu den Behördenseiten liefern die Reisehinweise des Auswärtigen Amtes. Für Jamaika etwa bieten sie aktuell Links zu einer Übersicht offizieller Anordnungen und zu einer Karte des Landes, auf der die Lage von Notunterkünften zu sehen ist.

Warnapp: Das Ministerium bündelt alle Länder in der „Sicher reisen“-App. Aber wenn es um kurzfristige Informationen geht, sind regionale Warnapps oft schneller als das Angebot des Auswärtigen Amtes. Pauschalreisende werden auch vom Reiseveranstalter auf dem Laufenden gehalten.

Reisende: Müssen wegen Naturkatastrophen Hotel-Evakuierungen, Umbuchungen oder Routenanpassungen etwa bei Rundreisen gemacht werden, organisieren dies Veranstalter für Pauschalreisende kostenlos. Wer hingegen individuell gebucht hat, muss sich selbst um Ersatzunterkünfte oder Rückflüge kümmern.

Botschaft: Bringt das einen in Not, kann man sich auch an die deutsche Botschaft oder Konsulate wenden. Das Auswärtige Amt bietet für Deutsche im Ausland zudem eine Krisen-Vorsorgeliste an, in die man sich eintragen kann.

Was ist, wenn man bald Reise in eine der Länder plant?

Zerstörerische Winde, Sturmfluten und katastrophale Überschwemmungen werden durch Hurrikan „Melissa“ in Jamaika erwartet. Wer in den kommenden Wochen oder Monaten einen Urlaub auf der Insel geplant hat, liest so etwas mit großer Sorge. Doch in solchen Situationen gilt immer der Rat: lieber nicht vorschnell handeln.

Pauschalreisende sollten sich zunächst an ihren Veranstalter wenden, um sich über die Lage zu informieren und Optionen wie Umbuchungen abzuklopfen. Bei Verwüstungen oder unabsehbaren Situationen vor Ort sagen Veranstalter Reisen in der Regel auch von selbst ab oder bieten Alternativen an.

Als Urlauber selbst die mittelfristig anstehende Reise abzusagen, kann hingegen hohe Kosten nach sich ziehen, sofern man bei der Buchung keine flexiblen Stornierungsoptionen ausgewählt hat.

Kostenfrei ist die Absage der Reise sonst immer nur dann möglich, wenn diese durch außergewöhnliche Umstände erheblich beeinträchtigt wird. Beispielsweise bei großen Zerstörungen rund um das Hotel und den Urlaubsort.

Was müssen Pauschal- und Individualreisende beachten?

Stichwort Pauschalreise: Darunter fällt in der Regel, wenn mindestens zwei Reiseleistungen als Paket verkauft werden. Flugpauschalreisen, die neben den Flügen auch die Unterkunft beinhalten, sind die bekannteste Variante. Laut dem Deutschen Reiseverband, der die viele Veranstalter und Reisebüros vertritt, kann aber auch schon die Buchung eines Fluges zusammen mit einem Mietwagen dazu zählen.

Wer alles individuell bucht, muss sich im Fall von Naturkatastrophen mit den einzelnen Vertragspartnern – etwa dem Hotel und der Airline – in Verbindung setzen, wenn es um Umbuchungen, Stornierungen oder Erstattungen geht. Entscheidend sind dann jeweils deren Geschäftsbedingungen. Einen umfassenden Überblick über die Rechte von Reisenden bei Naturkatastrophen gibt es zum Beispiel online bei den Verbraucherzentralen.

Wie lange ist Hurrikan-Saison im Atlantik?

Sie dauert von Anfang Juni bis Ende November. Die tropischen Wirbelstürme entstehen über warmen Ozeanwasser – die Wahrscheinlichkeit starker Stürme steigt laut Fachleuten infolge der zunehmenden Erderwärmung.